Blasenerkrankungen
Symptomatik bei Blasenentzündung
- häufiges Pressen mit geringem, tröpfchenweise erfolgendem Urinabsatz
- blutiger Urinbeisatz
- plötzliche Unsauberkeit
- übelriechender Urinabsatz
- gekrümmte Körperhaltung, steifes Hoppeln
- häufiges Belecken des Genitalbereiches
- feuchtes bis schleimig verklebtes Fell im Anogenitalbereich
- ödematöse Schwellungen im Anogenitalbereich
- "Schmerzgesicht", Unruhe, Apathie, Appetitlosigkeit
Da Blasenentzündungen schmerzhaft sind, haben betroffene Tiere meist Schwierigkeiten beim Urin-, gelegentlich auch beim Kotabsatz. Gleichzeitig verspüren sie einen permanenten Harndrang, sodass häufig und oft unkontrolliert nur kleine Mengen an Harn ausgeschieden werden. Dies ist eine der häufigsten Ursachen plötzlicher Unsauberkeit von Tieren, die zuvor sehr reinlich waren. Der Anogenitalbereich ist meist verklebt und weist Schwellungen auf, die von den erkrankten Kaninchen intensiv beleckt werden.
Bei großen Schmerzen ist das Allgemeinbefinden deutlich in Mitleidenschaft gezogen; neben Anorexie (=Fressunlust) und Apathie (=Teilnahmslosigkeit) nimmt das Tier mitunter ungewöhnliche Körperhaltungen ein, um sich Erleichterung zu verschaffen - z.B. durch Krümmen des Rückens oder Pressen des Hinterleibs auf den Boden.
Therapie bei Blasenentzündung
- Antibiotikum
- Pro-/Präbiotikum
- Analgetikum
- Infusionen
- Wasseranreicherung
- Futteranpassung
- Wärmezufuhr
Antibiotikum: Es tötet die ursächlichen Bakterien in der Blase ab. Bei wiederkehrenden Blasenentzündungen trotz Antibiotikagabe empfiehlt sich das Anlegen eines Antibiogramms (Resistenztests), um festzustellen, gegen welche Antibiotika die beteiligten Bakterien empfindlich reagieren.
Pro- und Präbiotikum: Es sollte begleitend zum Antibiotikum gegeben werden, um Verdauungsbeschwerden vorzubeugen.
Analgetika (= Schmerzmittel) sind notwendig, um einerseits die Schmerzen zu zu lindern, andererseits die Entzündungsprozesse zu hemmen und wieder einen normalen Harnabsatz zu ermöglichen. Schmerzmittel aus der Gruppe der NSAID wirken entzündungs- und schmerzhemmend. Sie lassen sich hervorragend mit dem zentral wirksam Metamizol kombinieren, um eine optimale Schmerzhemmung zu erzielen
Flüssigkeitszufuhr: Um den Heilungsprozess zu unterstützen und einer Bildung von Harngrieß vorzubeugen bzw. eine bereits vorhandene Harngrießproblematik mitzubehandeln, ist eine hohe Flüssigkeitszufuhr von großer Bedeutung. Ein Ad-libitum-Angebot von Grünfutter ist bei Harnwegserkrankungen ganz besonders wichtig. Außerdem können Sie - zusätzlich zum geschmacksneutralen Trinkwasser! - verdünnten Karotten- oder Obstsaft (ungezuckert) anbieten. Auch Kamillentee beschleunigt den Heilungsprozess und wirkt krampflösend.
In schweren Fällen ist eine stationäre Unterbringung nötig, damit das Kaninchen intensiv infundiert werden kann.
Entzündungshemmend wirken u.a. Brennnessel, Scharfgabe und Löwenzahn. Sollten sie frisch nicht verfügbar sein oder möchten Sie Ihren kleinen Patienten zusätzlich unterstützen, eignen sich spezielle pflanzliche Medikamente vom Tierarzt: Sie wirken harntreibend, entzündungshemmend und antibakteriell.
Wärme: Kaninchen mit Zystitis müssen warmgehalten werden. Stellen Sie Ihrem Tier daher eine Rotlichtlampe oder ein Wärmekissen zur Verfügung, welche(s) bei Bedarf aufgesucht werden kann. Im Freien lebende Tiere sollten ins Haus geholt werden, um sie nicht den Tag-Nacht-bedingten Temperaturschwankungen auszusetzen. Kaninchen aus Winteraußenhaltung müssen dabei zunächst unbedingt in einem einem unbeheizten untergebracht werden, bis sie ihr Winterfell verloren haben, da extreme Temperaturschwankungen sie zusätzlich belasten würden. Wegen des Fellwechsels dürfen sie anschließend erst im Frühjahr wieder nach draußen ziehen.
Holen Sie das erkrankte Kaninchen nicht alleine ins Haus. Um sich stressfrei erholen zu können, benötigt der Patient in jedem Fall die Gesellschaft eines Artgenossen.
Prognose
Je früher eine Zystitis erkannt und behandelt wird, desto einfacher gestaltet sich die Therapie.
Prophylaxe
- gesunde, grünfutterreiche Ernährung
- ständig frisches Wasserangebot
- Vorsorgemaßnahmen gegen Kalzinose
- Stressvermeidung
- ausreichend zugluftgeschützte, trockene Rückzugsmöglichkeiten
- Angebot von mindestens einer Toilette pro Tier
- Bei Gruppenhaltung: Erkennen von Spannungen
- Vermeidung plötzlicher Temperaturschwankungen
- Warmhaltung gebadeter Kaninchen bis zur vollständigen Trocknung
- Bewegungsanimation
Gesunde, frischfutterreiche Ernährung: Das A und O für eine ausreichende "Durchspülung" der Blase und somit die beste Vorsorgemaßnahme gegen Entzündungsprozesse ist eine flüssigkeitsreiche Ernährung, denn eine optimale Flüssigkeitszufuhr wird nur erreicht, wenn das Futter der Kaninchen größtenteils aus Grünfutter besteht.
Zu diesem Zweck müssen insbesondere Trockenfertigfutter und handelsübliche Leckerlis, bestenfalls auch Trockenobst und -gemüse komplett vom Speiseplan gestrichen werden, da nicht zuletzt ihr hoher Sättigungsgrad dazu führt, dass im Anschluss deutlich weniger Frischfutter verzehrt wird. Auch getrocknete Kräuter, Blätter und Blüten sollten, wenn überhaupt, nur in sehr kleinen Mengen (maximal eine lockere Handvoll täglich für zwei Kaninchen) gereicht werden, da sie in erheblichem Maße Harngrieß (und somit auch Blasenentzündungen) fördern.
Ständig frisches Wasserangebot: Auch bei reichlicher Frischfutteraufnahme muss den Kaninchen immer frisches, sauberes Trinkwasser zur freien Verfügung bereitstehen. Die Näpfe sollten mindestens zweimal täglich gereinigt und aufgefüllt werden.
Vorsorgemaßnahmen gegen Harngrieß: Da Schlamm, Grieß und Steine eine Zystitis begünstigen können, überschneiden sich die Vorsorgemaßemaßnahmen für beide Krankheitsbilder (s.o.).
Stressvermeidung: Kaninchen, die sich ständig verkriechen, können aufgrund mangelnder Bewegung unterkühlen. Daher sollten Stressfaktoren, die die Tiere zum Rückzug veranlassen, möglichst vermieden werden.
Ausreichend zugluftgeschützte, trockene Rückzugsmöglichkeiten sind insbesondere für Tiere in Winteraußenhaltung von großer Bedeutung, um ihre Körpertemperatur aufrechtzuerhalten. Normalerweise suchen Kaninchen ihre Schutzhütte rechtzeitig von selbst auf. Problematisch wird es erst, wenn sie daran gehindert werden - beispielsweise durch einen dominanten Artgenossen, der den Eintritt "verwehrt". Aus diesem Grund sollten Sie - spätestens, wenn Sie Unstimmigkeiten zwischen Ihren Tieren beobachten oder vermuten - immer mehrere Schutzhütten anbieten oder eine Schutzhütte in mehrere Abschnitte unterteilen, sodass auch rangniedere Tiere nicht aus Angst im Wind und Regen ausharren müssen.
Angebot von mindestens einer Toilette pro Tier: Reinliche Kaninchen halten den Urin mitunter zurück, wenn die Toilette(necke) von einem ranghöheren Artgenossen belegt wird. Unnatürlich langes "Einhalten" fördert die Ansiedelung von Bakterien in der Blase.
Vermeidung plötzlicher Temperaturschwankungen: Kaninchen, die im Haus leben, dürfen während der kalten Jahreszeit keinesfalls einfach ins Freie gesetzt werden - da kein Winterfell ausgebildet wurde, würden sie sich dabei verkühlen. Auch dürfen Kaninchen in Außenhaltung nicht zwischendurch "zum Aufwärmen" ins Haus geholt werden, da nicht nur die plötzliche Wärme eine starke Kreislaufbelastung darstellt, sondern auch hier eine Unterkühlung droht, wenn die Tiere im Anschluss wieder nach draußen gesetzt werden.
Warmhaltung gebadeter Kaninchen bis zur vollständigen Trocknung: Nasses Fell begünstigt Verkühlungen enorm. Ist ein Bad unausweichlich, muss das Kaninchen im Anschluss unbedingt bis zur vollständigen Trocknung warmgehalten und vor Zugluft beschützt werden!
Bewegungsanimation: Kaninchen, die nur tatenlos herumsitzen, können sich leicht unterkühlen. Neben mindestens einem Artgenossen ist daher ein vielseitiges Beschäftigungsangebot von großer Bedeutung.
Blasenschlamm, Blasengrieß & Blasensteine
Der Begriff Kalzinose bezeichnet eine Mineralisierung der Harnwege, die sich in Form von Schlamm, Grieß sowie - im Extremfall - in Form von Steinen äußern und zu leichten bis lebensbedrohlichen Beschwerden führen kann. Im alkalischen Harnmileu des Kaninchens entwickeln sich in erster Linie Kalziumcarbonat-, Kalziumphosphat- und Kalziumoxalatkristalle, im Falle eines Entzündungsgeschehens auch Struvitkristalle (Ammonium-Magnesium-Phosphat).Hintergründe
Begünstigt wird die Organverkalkung beim Kaninchen insbesondere durch zu trockene Fütterung, die aufgrund seines besonderen Kalziumstoffwechsels zu Problemen führt:
Im Gegensatz zum Menschen und vielen anderen Tierarten (welche Kalzium bedarfsorientiert durch aktiven, Vitamin-D-regulierten Transport aus dem Darm resorbieren) resorbiert das Kaninchen Kalzium unabhängig von seinem aktuellen Bedarf durch sogenannte passive Diffusion; d.h. je mehr Kalzium im Darm verglichen mit der Menge im Blut vorhanden ist, desto mehr diffundiert ins Blut hinüber.
Vitamin D spielt beim Kaninchen für die Kalzimresorption nur dann eine Rolle, wenn es in extremem Überschuss gefüttert wird (nur möglich bei künstlich angereicherten Futtermitteln / Nahrungsergänzungsmitteln) oder wenn das Futter deutlich zu wenig Kalzium enthält. In letzterem Fall ist eine passive Diffusion nicht mehr möglich, da das hierzu notwendige Konzentrationsgefälle (d.h. deutlich mehr Kalzium im Darm als im Blut) fehlt, und das Vitamin D muss durch aktiven Transport "nachhelfen".
Kaninchen sind also nicht dazu in der Lage, die Kalziumresorption aus dem Darm bei übermäßiger Zufuhr zu verringern und eine Ausscheidung über den Darm bzw. die Galle vorzunehmen. Infolgedessen wird sämtliches überschüssige Kalzium nach der Resorption über die Nieren ausgeschieden (renale Elimination). Dies funktioniert jedoch nur, solange die Nierenfunktion intakt ist und das Kaninchen genügend Flüssigkeit aufnimmt, um die zur Ausscheidung des Kalziums notwendigen Harnmengen zu produzieren.
Kalzium in jeglichem Frischfutter ist - entgegen weit verbreiteter Mythen - unproblematisch, da es infolge des hohen Wassergehaltes in so geringer Konzentration in den Harn gelangt, dass es ganz natürlich über die Nieren ausgeschieden werden kann.
Tabellen, die das Gegenteil suggerieren, geben den Kalziumgehalt der verschiedenen Futtermittel in der Trockenmasse an; d.h. der Wassergehalt wird "herausgerechnet", was im Zusammenhang mit den Harnwegen vollkommen unsinnig ist, da ja hier nicht die absolute, sondern die relative Menge des Kalziums eine Rolle spielt; d.h. bedeutend ist nicht seine Gesamtmenge, sondern seine Konzentration im Harn.
Eine hohe Flüssigkeitszufuhr mit dem Futter führt dazu, dass das Kalzium nur gering konzentriert und somit komplett gelöst im Harn vorliegt, wodurch es ohne Probleme ausgeschieden wird. Bei trockener Fütterung hingegen überschreiten die im Vergleich zur Flüssigkeit reichlich vorhandenen Kalziumionen das Löslichkeitsprodukt, fallen zu Kristallen aus und führen zur Kalzinose. Auch Studien belegen, dass rein mit Grünfutter verschiedenster Sorten ernährte Kaninchen die geringste Kalziumkonzentration im Urin vorweisen. Kaninchen, die hauptsächlich Heu oder anderweitiges Trockenfutter fressen, produzieren erheblich weniger Urin, die Kalziumkonzentration im Harn ist dementsprechend höher und es kann zur Grieß- und Steinbildung kommen.
Formen der Kalzinose
- Nierenkalzinose (Nephrolithiasis)
- Kalzinose der ableitenden Harnwege (Urolithiasis)
- Weichteilkalzinose
- Osteosklerose
Kalzinosen kommen bei intakter Nierenfunktion, artgerechter Haltung (d.h. käfigfrei und mit reichlich Beschäftigungsmöglichkeiten) und naturnaher, flüssigkeitsreicher Fütterung (d.h. überwiegend oder ausschließlich Grünfutter) nicht vor. Dies liegt daran, dass überschüssiges Kalzium vom Kaninchen ganz natürlich und problemlos über den Harntrakt ausgeschieden wird, solange a) die Nierenfunktion ungestört ist, b) infolge hoher Flüssigkeitszufuhr genügend Harn produziert wird, damit die Kalziumionen komplett gelöst darin vorliegen und "ausgeschwemmt" werden können, und c) in der Blase vorhandener Grieß regelmäßig durch Bewegung aufgeschwemmt wird, sodass er mit dem Urin ausgeschieden werden kann.
Artgerechte Haltung und Fütterung sind darüber hinaus die Basis für eine schlanke Figur. Auch dies ist prophylaktisch von großer Bedeutung, da Fettleibigkeit das Risiko einer Harngrießbildung deutlich erhöht.
Nierenkalzinose (Nephrolithiasis)
Festsetzen können sich Kalziumkristalle im Nierengewebe nur dann, wenn der Durchfluss behindert wird. Dies ist entweder der Fall, wenn das Kaninchen zu trocken ernährt wird und daher zu wenig Harn produziert, sodass das Kalzium nicht direkt wieder ausgespült werden kann; oder aber im Falle einer bereits vorhandenen (oft unbemerkten!) Nierenschädigung - in den meisten Fällen durch eine Ansiedelung des Erregers E. cuniculi. Geschädigtes Nierengewebe vernarbt und bildet Engstellen, die leicht verlegt werden können; zudem entstehen Entzündungsmediatoren, die die Entstehung von Kalziumcarbonat-Steinen erleichtern.
Hierdurch entsteht ein Teufelskreis, denn die angelagerten Steine führen zu einer sogenannten "Druckatrophie", d.h. sie üben Druck auf noch intaktes Nierengewebe aus und schädigen es dadurch ebenfalls.
Blasengrieß und -steine (Urolithiasis)
Meist werden Blasengrieß- und -steine durch eine zu trockene Ernährung, v.a. in Kombination mit dem Verfüttern von Kalziumkonzentraten (Trockenkräuter, Trockengemüse, Pellets, Nagersteine, Fertigmischfutter, ...), verursacht. Auch mangelnde Bewegung (z.B. durch regelmäßiges Einsperren in einen Käfig oder Stall, Fettleibigkeit, Gleichgewichtsprobleme, Schmerzen im Bewegungsapparat u.v.m.) begünstigt, dass der Grieß nicht aufgeschwemmt und beim Urinabsatz ausgeschieden wird, sondern sich der Schwerkraft nach unterhalb der Harnröhrenöffnung in der Blase ansammelt und sich immer mehr anstaut.
Eine weitere häufige Ursache ist der Infektionserreger Encephalitozoon cuniculi.
Das mit der Nahrung aufgenommene Kalzium wird dann nicht mehr (ausreichend) ausgeschwemmt und bildet zunächst den sogenannten “Blasenschlamm”, welcher bereits zu Beschwerden führen kann; im Laufe der Zeit bildet sich daraus Grieß, der seinerseits Symptome hervorrufen oder sich zu Steinen zusammenlagern kann, die operativ entfernt werden müssen.
Blasenschlamm und -grieß führen nicht zwangsläufig zu sichtbaren Veränderungen im Urin.
Im Gegenteil ist "grießiger" Urin ein Zeichen dafür, dass vom Körper nicht benötigtes Kalzium ordnungsgemäß ausgeschieden wird. Ein (relativ) klarer Urin hingegen zeugt entweder von einem Kalziummangel oder davon, dass sich das Kalzium entweder im Gewebe (bei Nierenerkrankungen) oder in der Blase (bei wenig Bewegung) anlagert, anstatt den Körper zu verlassen! Klarer Urin ist nur bei Kaninchen, die sich im Wachstum befinden, trächtig oder säugend sind, normal und unbedenklich; denn ihr Kalziumbedarf ist so hoch, dass nahezu sämtliches aus der Nahrung resorbierte Kalzium verbraucht und somit nicht ausgeschieden wird.
Arterio- und Osteosklerose
Ein zu hoher Kalziumspiegel im Blut führt dazu, dass das Kalzium zunehmend im Knochengewebe, in den Bronchien und in der Aorta (Hauptschlagader) eingelagert wird. Bei intakter Nierenfunktion und artgerechter Fütterung scheidet die Niere überschüssiges Kalzium problemlos aus. Wird das Kaninchen hingegen sehr trocken ernährt oder ist die Nierenfunktion eingeschränkt (oft unbemerkt durch Infektionen mit E. cuniculi), wird entsprechend wenig Primärharn produziert und das Kazium kann den Körper nicht mehr verlassen.
Ebenfalls problematisch wird es, wenn das Kaninchen Fertigfutter mit künstlichen Vitaminzusätzen erhält: Während Vitamin D, das im Körper durch Sonnenlicht synthetisiert wird, nach Bedarf in seine aktive Form mit hormoneller Tätigkeit umgewandelt wird, liegen Futterzusätze bereits in der "Hormon-Form" vor, wodurch eine Überdosierung möglich ist.
Durch einen starken Vitamin-D-Überschuss werden zusätzlich zur passiven Diffusion von Kalzium ins Blut auch die aktiven Resorptionsmechanismen in Gang gesetzt, die Kalziumresorption aus dem Darm wird also deutlich erhöht. Gleichzeitig fördert ein hoher Vitamin-D-Blutspiegel den Einbau des Kalziums ins Gewebe, es "verknöchert". Die Verkalkungen sind per Röntgen eindeutig darstellbar. Sie können u.a. zu mechanisch- und schmerzbedingten Bewegungsstörungen, Bluthochdruck und Herzerkrankungen führen.
Artgerecht ernährte Kaninchen, bei denen röntgenologisch Arterio- oder Osteosklerosen festgestellt werden, müssen unbedingt auf eine chronische Niereninsuffizienz untersucht werden!
Ursachen
- zu trockene Ernährung
- Fütterung von Kalziumkonzentraten (Trockenkräuter und -gemüse)
- Enzephalitozoonose
- (Magnesiummangel)
- (Vitamin-B-Mangel)
- Blasengrieß auch: Bewegungsarmut (s.o. "Formen der Kalzinose")
- Nierenkalzinose auch: bereits vorhandener Nierenschaden (s.o. "Formen der Kalzinose")
- Arterio- und Osteosklerose auch: übermäßige Zufuhr von aktivem Vitamin D (s.o. "Formen der Kalzinose")
Grundsätzlich problematisch sind Futtermittel, die zugleich getrocknet sind und Kalzium beinhalten. Grundsätzlich unproblematisch ist jegliches Frischfutter (für nähere Erläuterung s.o.)
Zu trockene Ernährung & Kalziumkonzentrate
Heu? Eine verglichen mit dem Wassergehalt hohe Kalziumkonzentration findet sich u.a. im Heu. Dies ist der Hauptgrund dafür, weshalb Heu kein geeignetes Grundfutter für Kaninchen darstellt.
Mit 6,4 Gramm pro Kilogramm ursprüngliche Substanz enthält Heu mehr als doppelt so viel Kalzium wie z.B. frische Petersilie (2,45 g/kg US) und frischer Löwenzahn (1,58 g/kg).
Vor diesen Grünfuttersorten wird paradoxerweise immer wieder wegen ihres "hohen Kalziumgehalts" gewarnt, während gleichzeitig eine bedenkenlose Ad-Libitum-Fütterung von Heu empfohlen wird.
Heu sollte lediglich eine stets verfügbare "Notnahrung" darstellen, auf welche die Kaninchen zurückgreifen können, falls sie einmal kein Grünfutter mehr zur Verfügung haben sollten (z.B. falls es aufgefressen oder verwelkt sein sollte). Im Übermaß gefüttert fördert es hingegen Kalzinosen. Kaninchen, die stets die Wahl zwischen Heu und Grünfutter haben, bevorzugen das Grünfutter instinktiv.
Fertigtrockenfutter: Die Futtermittel, welche Kalzinosen besonders begünstigen, sind unter den Bezeichnungen “Allein-” oder “Ergänzungsfuttermittel” in jedem Zooladen erhältlich. Selbst, wenn man sich bei besagten Futtermitteln streng nach der "Fütterungsempfehlung" auf der Verpackung richten würde, läge die Kalziumzufuhr häufig noch deutlich über der Bedarfsgrenze. Eine Konzentration von 0,6% sollte grundsätzlich nicht überschritten werden.
In Kombination mit der durch Trockenfutterkonsum viel zu geringen Wasseraufnahme sind Harnwegsprobleme vorprogrammiert. Oft haben sie erst nach Jahren ein Ausmaß erreicht, das zu klinischen Symptomen führt, sodass der Halter keinen Zusammenhang zwischen Fütterung und Erkrankung sieht; oder aber die Tiere sterben infolge der langfristigen Fehlernährung an Verdauungserkrankungen, Kieferabszessen oder Leberlipidosen bereits im jungen bis mittleren Alter, noch bevor der Harngrieß ein kritisches Stadium erreicht hat.
Ein zusätzliches Problem von Fertigfutter kann ein übermäßger Zusatz von Vitamin D sein, was die Kalzium-Resorption mitunter erhöht und dadurch zu Kalzinosen führt (s.o. Formen der Kalzinose - Arterio- und Osteosklerose).
"Artgerechte Leckerlis": Eine weitere Gefahrenquelle stellen die zunehmend in Mode geratenden "artgerechten Leckerlis" in Form von getrockneten Gemüsesorten und Kräutern dar. Der moderne Kaninchenbesitzer ist häufig dazu geneigt, "getreidefrei" oder "pelletfrei" mit "gesund" gleichzusetzen. Die Realität sieht allerdings gänzlich anders aus: Während Trockenobst aufgrund seines hohen Zuckergehaltes äußerst kritisch zu betrachten ist, handelt es sich bei Trockengemüse und Trockenkräutern aufgrund der fehlenden Flüssigkeit um regelrechte "Kalziumbomben".
Lecksteine: Ebenso gefährlich sind Kalklecksteine aus dem Zoofachhandel, die bei übermäßigem Verzehr sogar zu Vergiftungen führen können - zumal sie bei ausgewogener Ernährung völlig überflüssig sind.
Grünfutter: Vermeintlich kalziumreiche Gemüsesorten und Wiesenkräuter sind grundsätzlich unproblematisch. Durch den hohen Wassergehalt des Futters wird so viel Urin produziert, dass die darin vorhandenen Kalziumionen in komplett gelöster Form vorliegen und sich nicht in den Harnwegen anlagern können.
Vergleicht man den Urin von Kaninchen, die unterschiedlich gefüttert werden, stellt man fest, dass sich die mit Abstand geringsten Kalziumkonzentrationen bei einer Ernährung mit überwiegend oder ausschließlich Grünfutter findet - unabhängig von den Sorten.
"Kalziumreiche" Grünfuttersorten vom Speiseplan zu streichen, bringt keinen Nutzen mit sich und kann sogar gesundheitsschädlich sein: Mögliche Folgen sind (v.a. im Winter) eine sehr einseitige Ernährung und Kalziummangelerscheinungen mit fatalen Folgen (Osteoporose, Zahnerkrankungen, Kieferabszesse, ...).
Oxalsäure?
Auch hierzu existieren einige Mythen, die u.a. aussagen, dass oxalsäurehaltige Futtermittel generell Urolithiasis-, also konkrementfördernd seien. Dies ist so nicht korrekt. Richtig ist: Beinhaltet ein Futter sowohl viel Kalzium, Kalium oder Magnesium als auch viel Oxalsäure, führt dies dazu, dass das Oxalat mit dem entsprechenden Mineral bereits im Darm Komplexe bildet - die nicht resorbiert werden können, sondern mit dem Kot ausgeschieden werden! Das bedeutet: Es kommt nicht etwa zu einer Kalzinose, sondern viel mehr zu einem Mineralienmangel mit entsprechenden Folgeschäden.
Sowohl einen Kalziummangel als auch die Harnsteinbildung fördernd sind Nahrungsmittel, die vergleichsweise wenig Kalzium und viel Oxalsäure enthalten (z.B. Spinat, Mangold, Sauerampfer, Buche). In diesem Fall bildet das wenige vorhandene Kalzium im Darm Komplexe mit der Oxalsäure und kann nicht resorbiert werden - es kommt langfristig zu einem Kalziummangel. Die überschüssige Oxalsäure hingegen wird resorbiert und kann im Harntrakt Komplexe mit dem dort noch vorhandenen Kalzium bilden. Daher sollten diese Futtermittel zwar nicht komplett vom Speiseplan gestrichen, aber immer in einer guten Mischung mit anderen Grünfuttersorten gefüttert werden.
Magnesiummangel
Magnesium neigt zur Komplexbildung mit Oxalat. Dies erfolgt unter anderem bereits im Darm, sodass beide Stoffe nicht resorbiert werden können, sondern mit dem Kot ausgeschieden werden; aber auch im Harntrakt, wo das Magnesium Oxalsäureionen bindet und dadurch verhindert, dass sie mit Kalziumkristallen Steine bilden. Magnesium gilt daher als natürlicher Inhibitor von Konkrementen, d.h. es wirkt ihrer Bildung entgegen. Ein Magnesiummangel wirkt sich demzufolge gegenteilig aus: Es wird vermehrt Oxalsäure resorbiert, die anschließend über den Harn ausgeschieden wird und sich dort wiederum mit Kalzium zusammenlagern kann.
Enzephalitozoonose
Etwa 1/3 der Hauskaninchen trägt den Infektionserreger Encephalitozoon cuniculi in sich. Dieser ist fast immer für Nierensteine verantwortlich, scheint jedoch auch Blasengries zu begünstigen.
Vitamin-B6-Mangel
Ferner kann ein Vitamin-B6-Mangel die Kristallbildung begünstigen. Hier kommt es zu einer vermehrten körpereigenen Oxalsäurebildung mit den gleichen Konsequenzen wie eine oxalsäurereiche und gleichzeitig kalziumarme Fütterung (s.o.). Gefährdet sind demzufolge Kaninchen, die nicht ausreichend Blinddarmkot zu sich nehmen (z.B. infolge von Fettleibigkeit oder aufgrund von Schmerzen beim Krümmen der Wirbelsäule) oder die an chronischen Darmbeschwerden leiden.
Kalzium-Phosphor-Verhältnis
Da der Kalzium- und der Phosphatstoffwechsel bei Mensch und Tier eng zusammenhängen, ist auch das Mengenverhältnis von Kalzium zu Phosphor in der Nahrung von Bedeutung. Empfohlen wird ein Kalzium-Phosphor-Verhältnis von 1,5:1 bis 2:1. Ein leichter Kalziumüberschuss wird dabei noch gut toleriert; problematischer ist eine insgesamt oder verglichen mit dem Phosphor zu niedrige Kalziumzufuhr, da hierdurch erstens die Kalziumresorption aus dem Darm behindert wird, zweitens Kalzium aus den Knochen gelöst wird, um den Blutkalziumspiegel zu normalisieren (Osteoporose!), und drittens der Blutphosphorspiegel gesenkt wird, indem die Ausscheidung von Phosphor über die Nieren erhöht wird. Letzteres begünstigt die Konkrementbildung.
Dies bedeutet nicht, dass nun einzelne Futtermittel aussortiert werden sollten, nur weil sie ein ungünstiges Kalzium-Phosphor-Verhältnis haben - hierdurch würde die Ernährung unnötig einseitig. Vielmehr sollte darauf geachtet werden, immer eine möglichst vielseitige Grünfutter-Mischung anzubieten, dann ist das Verhältnis insgesamt in aller Regel ausgeglichen.
Im Internet finden Sie diverse Tabellen mit Angaben zum Kalzium- und Phosphorgehalt. Es schadet nicht, sich diese einmal anzusehen, um ein gewisses Gefühl für diesen Aspekt der Fütterung zu bekommen.
Beispiele für Grünfuttersorten mit einem ausgewogenen Kalzium-Phosphor-Verhältnis: Beifuß, Borretsch, Brennnessel, Brunnenkresse, Chinakohl, Dill, Eisbergsalat, Fenchel, Gartenmelde, Giersch, Kohlrabi, Kopfsalat, Mangold, Petersilie, Romanasalat, Rotkohl, Stangensellerie, Vogelmiere, Weißkohl, Wirsing.
Beispiele für Grünfuttersorten mit relativ hohem Phosphor-Gehalt: Basilikum, Blumenkohlblätter, Chicorée, Feldsalat, Sauerampfer.
Beispiele für Grünfuttersorten mit relativ hohem Kalziumgehalt: Bärenklau, Beinwell, Kerbel, Luzerne, Marojan, Oregano, Pfefferminze, Rosmarin, Thymian.
Bei einer vielseitigen Fütterung werden die Futtermittel mit einem "zu hohen Kalziumgehalt" meist ganz automatisch mit solchen mit einem "zu hohen Phosphorgehalt" kombiniert, sodass das Verhältnis sich wieder ausgleicht.
Symptomatik bei Blasengries
- häufiges Pressen mit geringem, tröpfchenweise erfolgendem Urinabsatz
- blutiger Urinbeisatz
- plötzliche Unsauberkeit
- übelriechender Urinabsatz
- gekrümmte Körperhaltung, steifes Hoppeln
- häufiges Belecken des Genitalbereiches
- feuchtes bis schleimig verklebtes Fell im Anogenitalbereich
- ödematöse Schwellungen im Anogenitalbereich
- "Schmerzgesicht", Unruhe, Apathie, Appetitlosigkeit
Da Blasenentzündungen schmerzhaft sind, haben betroffene Tiere meist Schwierigkeiten beim Urin-, gelegentlich auch beim Kotabsatz. Gleichzeitig verspüren sie einen permanenten Harndrang, sodass häufig und oft unkontrolliert nur kleine Mengen an Harn ausgeschieden werden. Dies ist eine der häufigsten Ursachen plötzlicher Unsauberkeit von Tieren, die zuvor sehr reinlich waren. Der Anogenitalbereich ist meist verklebt und weist Schwellungen auf, die von den erkrankten Kaninchen intensiv beleckt werden.
Bei großen Schmerzen ist das Allgemeinbefinden deutlich in Mitleidenschaft gezogen; neben Anorexie (=Fressunlust) und Apathie (=Teilnahmslosigkeit) nimmt das Tier mitunter ungewöhnliche Körperhaltungen ein, um sich Erleichterung zu verschaffen - z.B. durch Krümmen des Rückens oder Pressen des Hinterleibs auf den Boden.
Blasensteine führen gelegentlich zu einer lebensgefährlichen Verlegung der Harnröhre.
Das Kaninchen kann in diesem Fall keinen Urin mehr absetzen: In der Folge kommt es zu einem Einreißen der Blasenwände oder zu einem Rückstau des Urins bis in die Nieren, was zu einem akuten Nierenversagen führt. Bei Verdacht auf eine Harnröhrenverlegung muss daher sofort der Tierarzt aufgesucht und ggf. eine Not-OP durchgeführt werden!
Diagnostik
- Palpation (= Abtasten)
- Ultraschalldiagnostik
- Röntgendiagnostik
- Harnuntersuchung
- (Blutprofil)
Palpation: Eine erste Verdachtsdiagnose ist bereits durch Palpation (=Abtasten) möglich: Schlamm und Gries lassen die Blase teigig wirken; Harnabsatzprobleme äußern sich in einer übergroßen, prallen Blase; Steine sind mitunter direkt als harte Fremdkörper ertastbar.
Ultraschall: Sehr gut bestimmen lässt sich die Position und Beschaffenheit von Blasenkonkremente durch einen Ultraschall, da hier ein sichtbares "Aufwirbeln" des Schlamms bzw. Grießes möglich ist.
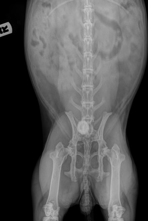
Röntgen: Auf Röntgenbildern sind Kalziumablagerungen als schneeweiße "Wolken" und Steine als solide weiße "Kreise" deutlich erkennbar. Auch Kalziumablagerungen in der Aorta und im Knochengewebe sind deutlich erkennbar. Im Gegensatz zum Ultraschall sind hier außerdem auch Steine sichtbar, die bereits in die Harnröhre gewandert sind. Um die Lokalisation zu bestimmen, sind zwei Aufnahmen aus unterschiedlichen Ebenen notwendig.
Da im Falle einer Blasenkalzinose häufig auch der übrige Harntrakt betroffen ist, sollte unbedingt ein Ganzkörperröntgen angefertigt und beim Ultraschall auch die Nieren mit kontrolliert werden.
Urinuntersuchung: Eine Urinprobe, die während der Ultraschalluntersuchung direkt aus der Blase entnommen werden kann (Zystozentese), dient dem Nachweis von Blut, Eiweiß und Bakterien sowie der genaueren Betrachtung enthaltener Kristalle.
Hämaturie (= blutiger Urinabsatz) deutet stets auf eine Gewebeschädigung im Harn- oder Geschlechtstrakt hin, deren Ursache neben der mechanischen Reizung durch Kristalle auch in einer bakteriellen Infektion oder in einem Tumorenwachstum liegen kann. Nicht zu verwechseln ist blutiger Urin mit einer Blutung aus dem Genitaltrakt, die bei unkastrierten Häsinnen auf eine schwerwiegende Gebärmuttererkrankung hindeutet!
Ein per Harnstick erbrachter positiver Eiweißnachweis ist mikroskopisch in Form von Platten-, Rund-, Übergangs- oder Nierenepithelien zu erkennen, was Aufschluss über die Lokalisation und das Ausmaß der Gewebeschädigung gibt. Per Teststreifen lässt sich auch Nitrit nachweisen, das durch bakteriellen Stoffwechsel entsteht und somit nach einer Antibiotikatherapie verlangt. Die Bakterien selbst sind im Harnsediment nachweisbar.
Blutuntersuchung: Da Verschiebungen im Blutprofil wie z.B. Anämien, aber auch erhöhte Harnstoff-, Kreatinin- und Glukosewerte eine häufige Folgeerscheinung von Harnwegserkrankungen darstellen, ist eine diesbezügliche Überprüfung empfehlenswert.
Die Einleitung eines großen Blutbildes sowie einer Urinkultur empfiehlt sich besonders bei Kaninchen, deren Allgemeinbefinden bereits in Mitleidenschaft gezogen ist. In diesem Fall gilt es abzuklären, ob die eigentliche Ursache nicht eher woanders liegt.
Therapie
Blasenschlamm und -grieß
- Futterumstellung
- Erhöhung der Wasserattraktivität
- Blasenspülung
- Infusionen
- ggf. Gewichtsreduktion
- (Blase ausdrücken)
- (Schmerzmittel)
- (Antibiotikum)
- (Pro-/ Präbiotikum)
Futterumstellung: Sofern die Möglichkeit besteht, dass die Kalzinose fütterungsbedingt entstanden ist, genügt oftmals eine entsprechende Umstellung, um Abhilfe zu schaffen.
Hierzu gehört vor allem, dass den Kaninchen rund um die Uhr Grünfutter zur Verfügung steht, damit sie ausreichend Flüssigkeit zu sich nehmen. Kaninchen, die eher trocken ernährt werden und ihren Flüssigkeitsbedarf vorrangig über den Wassernapf decken, nehmen nur einen Bruchteil der Flüssigkeit auf, die zur Gesunderhaltung notwendig wäre.
Die zweite wichtige Maßnahme besteht darin, Kalziumkonzentrate vom Futterplan zu streichen. Hierzu gehören z.B. Fertigmischfutter, Pellets, handelsübliche Kalklecksteine, Trockenkräuter und Trockengemüse.
Ersatzweise können z.B. getrocknete Blätter und Blüten gereicht werden - oder man verzichtet komplett darauf und füttert stattdessen frische Kräuter sowie ganzjährig Zweige.
Das Streichen vermeintlich kalziumreicher Grünfuttersorten ist NICHT empfehlenswert. Grünfutter enthält so viel Flüssigkeit, dass das enthaltene Kalzium später in den Harnwegen komplett gelöst vorliegt und sich nicht anlagern kann. Man würde also lediglich die Ernährung unnötig einseitig gestalten oder im schlimmsten Fall sogar einen Kalziummangel hervorrufen.
Infusionen: Sie können begleitend zur Futterumstellung hilfreich sein, um die Flüssigkeitsaufnahme zu steigern und die Harnwege effektiver "durchzuspülen". Nach tierärztlicher Anleitung können Sie eine subkutane, d.h. unter die Haut verabreichte, Infusion auch selbstständig zu Hause durchführen.
Erhöhung der Wasserattraktivität: Als begleitende Therapiemaßnahme können Sie versuchen, das Kaninchen zu vermehrtem Trinken zu animieren - z.B. in Form von verdünntem Tee, Karotten- oder Ananassaft. Zusätzlich ist aber immer geschmacksneutrales Wasser anzubieten, damit die Tiere nach Belieben entscheiden können.
Eine Gewichtsreduktion ist bei übergewichtigen Kaninchen unerlässlich, um zu verhindern, dass der Blasengrieß chronisch wird: Durch die großen Fetteinlagerungen im Bauchraum wird die Blase in Richtung Bauch verdrängt. Dies erschwert das Aufschwellen und physiologische Ausscheiden von Kalzium. Durch eine Optimierung der Haltung und Fütterung nehmen übergewichtige Kaninchen meist automatisch ab.
Blase ausmassieren: Keinesfalls sollte die Blase "blindlings" ausmassiert werden, wenn bereits Harnabsatzprobleme sichtbar sind oder ein Blasenstein vermutet wird - in diesem Fall könnten die Grießmassen oder Steine in die Harnröhre rutschen und diese komplett verlegen!
Das Ausdrücken der Blase nur dann durchgeführt werden, wenn bereits durch bildgebende Diagnostik sichergestellt wurde, dass es sich um sehr feinen Grieß handelt.
Nach einer reichlichen Infusion wird der Unterbauch des Kaninchens mit streichenden Bewegungen von der Blase in Richtung Blume massiert, um den Schlamm oder Grieß gen Harnröhre zu bewegen und eine Blasenentleerung auszulösen.
Wichtig ist dabei die Körperhaltung: Am Blasenboden befindlicher Schlamm oder Gries befindet sich in normaler Liege- oder Sitzposition unterhalb des Übergangs zur Harnröhre und wird daher nicht mit dem Urin ausgeschieden. Daher ist eine Schräghaltung notwendig, bei der sich der Vorderleib des Kaninchens in leichter Erhöhung gegenüber dem Hinterteil befindet. Nach erfolgtem Urinabsatz kann der Harn auf enthaltene Kristalle untersucht werden. Eine anschließende Ultraschalluntersuchung schafft Klarheit über eventuelle Rückstände.
Blasenspülung: Lässt sich der Grieß durch die oben beschriebene Maßnahme nicht ausdrücken, ist eine Blasenspülung notwendig Dazu wird das Kaninchen zunächst leicht sediert, um einen Katheter durch seine Harnröhre einführen zu können.
Im Anschluss wird die Blase mittels einer Einwegspritze durch den Katheter mit erwärmter Kochsalzlösung gefüllt. Anschließend wird der Blaseninhalt - d.h. Kochsalzlösung und Urin inklusive Grießbeisatz - wieder abgesaugt. Diese Prozedur muss wiederholt werden, bis keinerlei Kristalle mehr abgezogen werden.
Schmerzmittel sind notwendig, wenn das Kaninchen bereits deutliche Harnabsatzbeschwerden oder Schmerzsymptome aufgewiesen hat. Anderenfalls kann der Fall eintreten, dass das Tier den Harn bewusst zurückhält. Dies wiederum würde sich negativ auf den Heilungsprozess auswirken.
Antibiotikum: Blasenkalzinosen ziehen durch mechanische Reizung der Blasenwände häufig Entzündungen nach sich. Andersherum begünstigt eine Blasenentzündung die Entstehung einer Kalzinose, da das Harnmilieu sich durch Entzündungsprozesse verändert. Beim Vorhandensein einer Entzündung muss das Kaninchen daher auch mit einem Antibiotikum behandelt werden.
Pro- und Präbiotikum: Die Darmflora kann durch Antibiotika durcheinandergeraten. Daher empfiehlt es sich, begleitend ein Pro- und Präbiotikum gegeben werden, welches die gutartige Darmflora unterstützt und pathogene Keime behindert, also einem Entgleisen der Darmflora vorbeugt.
Harnansäuernde Präparate: Diese Pasten können bei Hunden und Katzen helfen, einen entzündungsbedingt erhöhten pH-Wert wieder in den (sauren) Normbereich zu senken, wodurch sich Kristalle, die auf ein alkalisches Milieu angewiesen sind, auflösen. Pflanzenfressende Tiere hingegen besitzen von Natur aus einen so hohen Harn-pH-Wert (8-9), dass dieser gar nicht weit genug gesenkt werden kann, um etwas gegen die Kristalle zu bewirken. Daher sind diese Präparate beim Kaninchen leider wirkungslos.
Harnsteine
- chirurgische Entfernung
- Antibiotikum
- Präbiotikum
- Analgetikum
Blasenschlamm- und Grieß sind durch die o.g. Therapiemaßnahmen i.d.R. konservativ behandelbar, es ist also keine Operation notwendig. Steine hingegen müssen in aller Regel chirurgisch entfernt werden. Anderenfalls führen sie auf Dauer zu schweren Entzündungen, starken Schmerzen und massiven Harnabsatzproblemen, welche lebensbedrohliche Folgen (irreparable Nierenschäden, Harnvergiftung, Blasenwandeinrisse, ...) haben können.
Harnröhrenstein: Befindet sich der Stein im oberen Teil der Harnröhre, kann er beim narkotisierten Tier in die Blase zurückmassiert und dort operativ entfernt werden. Ist er im unteren Teil der Harnröhre stecken geblieben, wird diese direkt eröffnet.
Blasenstein: Die Blase wird chirurgisch eröffnet und der Stein entfernt.
Harnleiterstein: Im oberen Bereich befindliche Steine können ins Nierenbecken zurückmassiert und dort chirurgisch entfernt werden. Befindet sich der Stein bereits fast in der Blase, kann er dort hinein massiert und entfernt werden. Steckt er unbeweglich fest, sollten der betroffene Harnleiter und die dazugehörige Niere entfernt werden, da sie ohnehin keine Funktion mehr hat, dem Kaninchen aber immer wieder kolikartige Schmerzen bereiten wird.
Eine Eröffnung des Harnleiters ist wenig erfolgsversprechend, da die nach der Operation einsetzende Narbenbildung eine dauerhafte Engstelle verursacht. Dadurch sind Rezidive (= erneut auftretende Verlegungen) vorprogrammiert.
Nierenstein: Die Niere wird eröffnet und der Stein entfernt. Ist eine Niere derart von Steinen durchsetzt, dass sie keine Funktion mehr hat, sollte sie komplett entfernt werden, um den Kaninchen dauerhafte oder intervallweise auftretende Koliken zu ersparen.
Begleitend zur Operation sind ein Antibiotikum, ein Präbiotikum sowie ein Analgetikum (=Schmerzmittel) zu verabreichen.
Prophylaxe
- Routineuntersuchungen
- gesunde Ernährung
- Freilauf Tag und Nacht
Routineuntersuchungen: Da Konkremente oft erst im weit fortgeschrittenen Stadium zu klinischen Symptomen führen, sind insbesondere bei EC-positiven Kaninchen halbjährliche Vorsorgeuntersuchungen per Röntgen und / oder Ultraschall empfehlenswert.
Im Ultraschall bietet es sich an, speziell die Nieren sorgfältig zu kontrollieren, da Kaninchen häufig an Niereninsuffizienzen leiden, die meist erst sehr spät erkannt werden oder sogar ohne vorherige Symptome zu plötzlichen Todesfällen führen.
Im Gegensatz zur Röntgendiagnostik ist die Sonographie völlig unschädlich und ermöglicht dem Tierarzt die Betrachtung eines "bewegten Bildes", was sehr hilfreich ist, da potentieller Harngrieß durch "Aufwirbeln" leicht diagnostiziert werden kann.
Im Röntgen hingegen sind Steine mitunter auch dort sichtbar, wo der Ultraschall nicht gut hingelangt (Beckengegend).
Futteranpassung: Wie bereits oben unter "Ursachen" ausführlich erläutert, ist ein abwechslungsreiches Grünfutterangebot rund um die Uhr das A und O, um Harnwegsproblemen vorzubeugen. Dadurch wird vermieden, dass die Kaninchen übermäßig auf Heu zurückgreifen müssen, welches im Vergleich zum Wassergehalt einen hohen Kalziumgehalt aufweist. "Kalziumbomben" wie Trockengemüse und -kräuter sollten nicht oder nur in Kleinstmengen verfüttert werden.
Bewegung rund um die Uhr: Damit in der Harnblase befindlicher Grieß permanent "aufgeschwemmt" und mit dem nächsten Harnabsatz ausgeschieden werden kann, muss sich das Kaninchen rund um die Uhr frei bewegen können. In einem Käfig oder Stall ist dies unmöglich. Pro Tier sollten Tag und Nacht mindestens 2-3 qm Fläche zur Verfügung stehen.

